Erfde titel neu neu

Baugrund für Gewerbe Gewerbegebiet Norderkamp in Erfde an der B202

Henning-Paulsen-Weg
24803 Erfde

Die wichtigsten Daten:

49,00 € *Kaufpreis pro m²
47.865 m² Grundstücksfläche
0,8 Grundflächenzahl
Bebauungsplan Nr. 10 Bebaubar nach
Vollerschlossen Erschließungszustand
Gewerbegebiet Baunutzung
400 % Gewerbesteuer Hebesatz

Objekt:

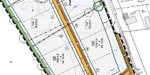
Das Gewerbegebiet in Erfde befindet sich am östlichen Eingangsbereich von Erfde direkt nördlich angrenzend an die Bundesstraße B202. Direkt gegenüber befindet sich das gewachsende Gewerbe- und Handelszentrum von Erfde. Das Gewerbegebiet umfasst eine Gesamtfläche von ca. 4,8 ha für gewerbliche Nutzungen. Erfde als ländlicher Zentralort hat ca. 2.100 Einwohner und ist Sitz von ca. 100 Unternehmen. In der touristisch interessanten Landschaft Stapelholm ist Erfde der größte Ort und hält die wichtigsten Versorgungseinrichtungen auch für Bürger*innen des Umlands vor.

Erschließungszustand:

Die Flächen werden voll erschllossen angeboten. Die Erschließung erfolgt, sobald der Bebauungsplan rechtskräftig vorliegt. Es fallen noch einmalige Anschlussgebühren an. Glasfaseranschluss ist vorhanden und über die gängigen Anbieter zu beziehen.

Infos zu Bebaubarkeit:

Die Bebauung erfolgt nach dem Bebauungsplan Nr. 10 "Gewerbegebiet nördlich der Bundesstraße 202". Der Bebauungsplan befindet sich derzeit in Aufstellung.

Sonstiges:

*Alle Angaben in diesem Exposé basieren auf den vom Eigentümer zur Verfügung gestellten Informationen. Eine Haftung für deren Richtigkeit oder Vollständigkeit wird ausgeschlossen. Interessenten wird grundsätzlich empfohlen, das Grundstück vor Erwerb eigenständig, insbesondere im Hinblick auf die Bodenbeschaffenheit, zu untersuchen.

Die Dienstleistungen der WiREG sind für Käufer*innen und Verkäufer*innen unverbindlich und kostenlos.

Betriebliche Investitionsvorhaben können unter bestimmten Voraussetzungen bezuschusst werden - sprechen Sie uns dazu gerne an.

Kontakt

Ich helfe gern Burkhard Otzen

+49 (0) 461 - 99 92 233
+49 (0) 151 - 27 58 73 20
otzen@wireg.de

Lage:

Das Gewerbegebiet liegt an der B202, die St. Peter-Ording und Rendsburg miteinander verbindet. Die Autobahn A23 ist nur etwa 18 km entfernt. Erfde ist der größte Ort in der Region Stapelholm. Schwerpunkt ist das Nahversorgungszentrum gegenüber des Gewerbegebietes südlich der B202. Als ländlicher Zentralort weist Erfde ein Gewerbe- und Dienstleistungsangebot auf.

Für jede Gewerbeflächenvermittlung benötigen wir von Ihnen einige Angaben zur Vorhabenbeschreibung. Im folgenden Formular können Sie uns diese Daten sicher und schnell übermitteln, sodass wir uns direkt bei Ihnen zurückmelden können.

Zur Vorhabenbeschreibung